17-04-2026 19:16
Hi to everybodyI would appreciate any assistance r
14-04-2026 05:32
Ethan CrensonHi all, A few weeks back a friend pointed out som
17-04-2026 15:14
Bruno Coué
Bonjour.Récoltes du 16/04/2026, sur feuilles mort
12-04-2026 15:52
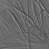
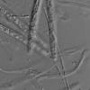
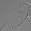
Gernot FriebesHi,I'm looking for help with this anamorph collect
14-04-2026 21:52
Gernot FriebesHi,found on dead leaves of Carex elata. Conidia: 4
16-04-2026 22:09
Buckwheat PeteHello, I'd like to ask about this older specimen:
15-04-2026 19:33
Fátima Durán ManzanequeHi!! I need help, I found this Ascomycete but I d
14-04-2026 20:31
Gernot FriebesHi,can this be Psilachnum lateritioalbum on Phragm
12-04-2026 17:56
Hardware Tony
Found on dead stems in February earlier this year
12-04-2026 12:22
William Slosse
In a dune grassland in Oostduinkerke (Belgium), on
Coccomyces sp. on fallen Rhododendron leavesPretty Hollow Gap Trail, Great Smoky Mountains National Park, Haywood County, North Carolina, USA
https://www.inaturalist.org/observations/305874978
photo credits: Danny Newman
micrographs: Patrick Verdier
sequence forthcoming.
Collected during the 2025 Richard P. Korf Memorial North American Ascomycete Foray (aka "The Korf Foray), held at the Appalachian Highlands Science Learning Center in Purchase Knob, North Carolina.
















