01-03-2026 15:31
Csaba Németh
Hello!I found these apothecia on Homalothecium lue
01-03-2026 14:10
Antonio Couceiro
Hola, me gustaria conocer opiniones sobre este tem
19-02-2026 17:49
Salvador Emilio JoseHola buenas tardes!! Necesito ayuda para la ident
01-03-2026 08:55
Michel Hairaud
Bonjour , Je souhaiterais recevoir cet article :Â
28-02-2026 14:43
A new refrence desired :Svanidze, T.V. (1984) Novy
27-02-2026 17:51
Michel Hairaud
Bonjour, Quelqu'un peut il me donner un conseil p
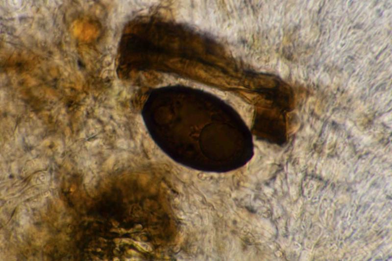
Strossmayeria sp. on indet. decroticate hardwood
Rees Cronce,
13-01-2026 18:55
The Swag, Great Smoky Mountains National Park, Haywood County, North Carolina, USA
https://www.inaturalist.org/observations/303460801
photo creds: Rees Cronce
micrographs: Danny Newman
spores not observed outside of asci. asci 90-100 microns in length.
sequence available on iNaturalist.
Collected during the 2025 Richard P. Korf Memorial North American Ascomycete Foray (aka "The Korf Foray), held at the Appalachian Highlands Science Learning Center in Purchase Knob, North Carolina.
Hans-Otto Baral,
13-01-2026 19:47
Re : Strossmayeria sp. on indet. decroticate hardwood
I see with dead material it is much less easy to observe free mature spores, because they are shot away during drying.
The ITS sequence fully coincides with one of Strossmayeria basitricha (ON254102 in GenBank, as Strossm. sp.)Â and almost so with one of S. basitricha of mine in GenBank.















