15-04-2026 19:33
Fátima Durán ManzanequeHi!! I need help, I found this Ascomycete but I d
14-04-2026 05:32
Ethan CrensonHi all, A few weeks back a friend pointed out som
14-04-2026 21:52
Gernot FriebesHi,found on dead leaves of Carex elata. Conidia: 4
14-04-2026 20:31
Gernot FriebesHi,can this be Psilachnum lateritioalbum on Phragm
12-04-2026 17:56
Hardware Tony
Found on dead stems in February earlier this year
12-04-2026 15:52
Gernot FriebesHi,I'm looking for help with this anamorph collect
12-04-2026 12:22
William Slosse
In a dune grassland in Oostduinkerke (Belgium), on
11-04-2026 15:45
Zuzana Sochorová (Egertová)
Please, could anyone send me this paper?Moyne G.,
11-04-2026 13:34
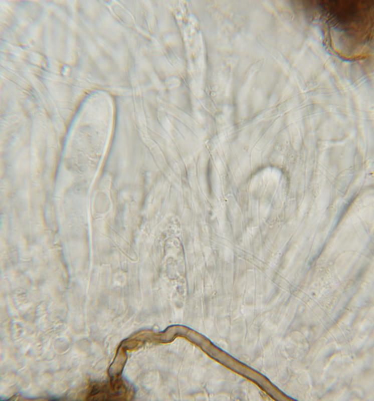
Artem PtukhaHello, I am seeking assistance with the identific
I'm looking for help with another peculiar ascomycete. This one grows on bark of a Tilia branch that recently fell on the ground. Its pseudothecia (I assume) are rather irregularly immersed in soft, brown, stromatic tissue. The loose arrangement of the pseudothecia can be seen well in vertical section. The 8-spored asci appear bitunicate to me. The ascospores are 1-septate, somewhat fusoid, and measure about 20.5–25.8 x 5.2–6.4 µm. Maybe someone recognizes this fungus!
Best wishes,
Gernot
Scrolling quickly through our provisional pyrenomycete key of our ascomyceten-project (*) I arrive at Massarina (assuming bitunicate asci). Did you consider that genus?
Just a suggestion for what it is worth.
Eduard
(*) http://www.mycologen.nl/Ascosleutel/downloads/SleutelA4_v2-2.pdf
Your ascomycetes project looks very nice by the way!
Best wishes,
Gernot















