29-05-2026 15:35
daniel FERREBonjour à tous,Je voudrais votre aide pour cette
28-05-2026 16:15
James MitchellHello,Does anyone have the original publication of
28-05-2026 11:06
Thomas Læssøehttps://svampe.databasen.org/observations/10596750
23-05-2026 11:44
Charles Grapinet
Hello, I am having trouble identifying this copro
25-05-2026 16:44
François BartholomeeusenHi forum members,During an excursion organised by
26-05-2026 21:25
Dirk GerstnerHello everyone, I'm completely stumped by this li
26-05-2026 22:44
Ethan CrensonHi all, I think I have Incrucipulum capitatum her
22-05-2026 14:44
Lothar Krieglsteiner
in unripe condition citrine yellow, then soon fadi
25-05-2026 16:35
Bernard CLESSE
Bonjour à toutes et tous,J'ai trouvé récemment,
22-05-2026 13:29
Gernot FriebesHi,I am curious to hear your opinion on this mater
Small hairy discs on Castanea
Marc Detollenaere,
31-01-2026 09:17
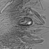
Dear Forum,On decorticated wood of Castanea,I found some small hairy grey discs.
Asci measured 42x6µ, the spores were hyaline 6x2µ and contained a small guttule at both sides. Hairs were also hyaline, smooth,cylindric, septate and measured 55-60µ.
Any ideas?
Marc
Kosonen Timo,
31-01-2026 11:30
Re : Small hairy discs on Castanea
looks like O. transiens. Check for dextrinoid hair apex.
Timo
Timo
Marc Detollenaere,
31-01-2026 17:04
Kosonen Timo,
31-01-2026 17:23
Re : Small hairy discs on Castanea
ok. Well, with that ecology & spore size & multiseptate hairs ...Sorry, I dont have good suggestions. Another "Hyaloscyphaceae"... Possible genera are Mimicoscypha, Olla (still), Resinoscypha and Psilocistella or something in between. But the small(ish) spores lead me to think of transiens. Looks like there are no dextrinoid reactions anywhere else either (excipulum), sometimes amyloid "nodules" somewhere. Also worth checking: does anything stain strongly blue with cotton blue.
cheers
Timo
cheers
Timo
Marc Detollenaere,
01-02-2026 09:31
Re : Small hairy discs on Castanea
Could Psilocistella quercina be a match?
Kosonen Timo,
01-02-2026 11:05
Re : Small hairy discs on Castanea
A very good suggestion!
t
t






